今天回到家,狗狗就尖叫着跑过来,整只狗都蜷缩一起来了,一直都在剧烈发抖。
我马上带她去附近的一个小宠物医院,医生说髌骨移位外加发炎,因为已经9岁高龄所以放弃做手术,打了一针消炎药就走了
晚上狗狗鼻子很干,不吃东西,不住地哀嚎发抖,很长时间就是站在地上不动,摸摸头都会引起她的尖叫。
真的只是髌骨的问题吗,我现在心急如焚。明明早上还好好的呀!



家有宠物据资料总结:犬髌骨脱位是指髌骨在运动的膝关节伸屈时,突然从滑车中脱出,可分内方脱位和外方脱位,临床上多见为内方脱位。
髌骨脱位是贵宾犬比较常见的一种骨关节疾病,小型贵宾犬(如玩具、茶杯等)的发病率明显高于其他体型(迷你或更大)的贵贵宾犬。这是一种遗传性疾病,病情会不断恶化直至后肢无法站立,此病不可逆转。
髌骨脱位可发生在任何年龄、任何品种性别的犬,但是最常发生于小型犬,如马尔济斯、小型贵宾、约克夏、博美、北京犬、吉娃娃、等,但是也可见于中大型犬,如拉布拉多,金毛等。根据统计在膝关节异常的犬中>75%为髌骨内侧脱位,同时约50%的病例会双腿先后或同时发生。发病年龄一般在4个月龄以后,母犬的发生率大约是公犬的1.5倍。
病因:分为先天性和后天性。先天性有股骨滑车畸形;股骨远端与胫骨近端排列不良;胫骨近端旋转,使胫骨粗隆向内侧移位。后天性的多见于外伤如:跳跃、碰撞及因剧烈运动使股四头肌强烈牵拉或膝内外侧韧带、膝中直韧带撕裂等原因
症状与分级:患犬从轻度破行到严重破行,通过疾病的临床症状及病程可分为4级。
1级:大多无临床症状,但将腿伸展时,用手压髌骨则发生脱位,将手松开后髌骨会自然复位,偶见轻度跳跃式行走。
2级:多数犬在起卧时,因膝关节弯曲,髌骨即发生脱位而患犬经常出现跳跃式破行,但多数可复原。
3级:髌骨大多数时间脱位。随着疾病的发展而导致股四头肌群内侧移位,股骨和胫骨的变形、支持髌骨的韧带伸展及滑车沟的变浅,而症状更加严重,可出现明显的破行。用手将髌骨复位后当腿弯曲时立即脱出。
4级:胫骨近端平台有80-90°旋转,髌骨脱位不能人工复位。随着骨骼的进一步变形,患肢不愿负重、呈卷缩姿势行走,当双后肢均病变时,患犬走路以蹲坐姿势行走。
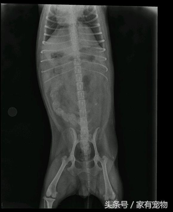
诊断:当患犬出现破行时,触诊整个患肢无痛觉,对出现明显破行者,用手检查髌骨可见明显脱位现象。在X光正位片可见髌骨位于股骨的内侧或外侧,而不在股骨滑车中,同时可见滑车沟变浅、胫骨近端弯曲转位和股胫关节成角异常。当幼犬的髌骨钙化不全时,其移位则很难显示;X光侧位片上可见髌骨不在滑车沟内而是与股骨髁重叠。

(欢迎更多的铲屎官加入我们的大家庭,分享宠物的点点滴滴,交流你的养宠经验。
很多狗狗需要大家的爱心与帮助、看到流浪的狗狗可以告诉我们、用领养代替购买。)